Raymond mantiene en alerta máxima a los estados del Pacífico mexicano, con pronósticos de lluvias de muy fuertes a intensas y oleaje peligroso en la costa. Ante el riesgo inminente, el Gobierno de Michoacán ha activado protocolos de seguridad, incluyendo la suspensión de clases en siete municipios costeros, una medida preventiva informada por la secretaria de Educación, Gabriela Molina.
La Presidenta Claudia Sheinbaum se refirió al tema durante la mañana, instando a la población a seguir las indicaciones de Protección Civil ante el avance de este fenómeno meteorológico, que ya genera condiciones de alto riesgo.
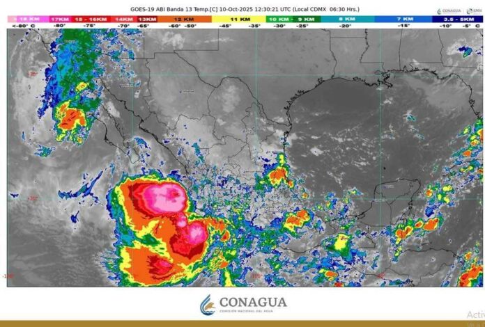
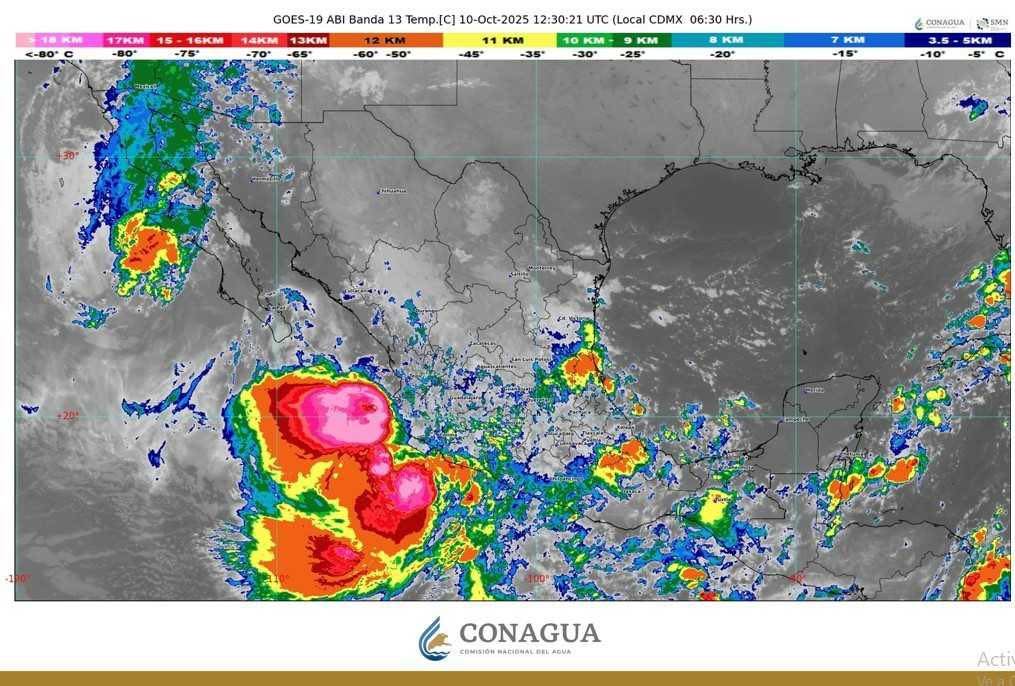
Según el último reporte del Servicio Meteorológico Nacional (SMN) de la CONAGUA, a las 06:00 horas, tiempo del centro de México, el centro de Raymond se localizó a tan solo 95 kilómetros al suroeste de Punta San Telmo, Michoacán, y a 265 kilómetros al oeste de Zihuatanejo, Guerrero. El sistema avanza hacia el oeste-noroeste a 22 km/h, con vientos máximos sostenidos de 95 km/h y rachas de 110 km/h.
La cercanía del ciclón ha obligado al SMN, en coordinación con el Centro Nacional de Huracanes de EE. UU., a mantener una zona de prevención por efectos de tormenta tropical que se extiende desde Zihuatanejo, Guerrero, hasta Cabo Corrientes, Jalisco.
Preven lluvias Intensas (75 a 150 mm) en la costa y sur de Jalisco, Colima, la costa de Michoacán y el suroeste de Guerrero, viento y oleaje elevado de 3 a 4 metros de altura, con riesgo de trombas marinas. Las autoridades advierten que estas condiciones podrían generar descargas eléctricas, así como deslaves, encharcamientos e inundaciones en zonas bajas, por lo que la población debe extremar precauciones.


Anticipándose a los efectos de Raymond, el Gobierno de Michoacán, a través de la Secretaría de Educación (SEE), anunció la suspensión de actividades escolares en todos los niveles educativos para este viernes 10 de octubre en siete municipios de la región Sierra-Costa.
La secretaria Gabriela Molina detalló que la medida busca proteger a las comunidades escolares en: Coahuayana, Aquila, Lázaro Cárdenas, Arteaga, Aguililla, Chinicuila y Coalcomán.
Simultáneamente, la Coordinación Estatal de Protección Civil ha respondido activando 55 refugios temporales en municipios costeros y aledaños. Estos albergues están listos para resguardar a la población que pudiera requerir ser evacuada de zonas de alto riesgo. Las autoridades estatales mantienen un monitoreo continuo de ríos, arroyos y puntos vulnerables, e hicieron un llamado a la comunidad a informarse solo por canales oficiales y reportar cualquier emergencia al 911.













